
이팝나무의 관리,특징과 성질
“이팝나무(Prunus serrulata)"
-낙엽활엽엽수-


[글의순서]
1.'이팝나무'이름의 유래
2.나무의특징과 성질
3.관리작업(식재와이식,비료,전정)
1.이팝나무 이름의 유래
'이팝나무'
(Chionanthus retusus)

이팝나무는 "여름에 내리는 흰눈" 이라는 단어가
딱~~ 어울리는 나무입니다.
속명 치오난투스(Chionanthus)는
"눈" 이라는 뜻의 치온(Chion)과
"꽃"이라는 뜻의 안토스(antos) 를 합친말로
하얀꽃이 마치 흰눈과 같다 는데서
유래된 것입니다.
종명 레투수스(retusus) 역시 끝부분에
둥글고 작은 홈이 있다는 뜻으로 꽃잎의
모양을 나타냅니다.

2.나무의 특징과 성질
바닷가의 숲속이나 숲 가장자리에 자생하며,
정원이나 도로변에 관상용으로
식재하는 낙엽 큰키나무로
높이 20m, 지름 70cm 정도로 자란다.
나무껍질은 짙은 회색, 오래되면 갈라지고,
어린가지는 회갈색, 어릴 때 잔털이 약간 있다.

잎은 마주나고, 타원형, 난형,
난상 타원형 또는 도란형이며
잎끝은 뾰족하거나 둔하고
밑은 넓게 뾰족하거나 둥글다.
잎 표면은 가운데 잎줄에 흔히
털이 있고 뒷면 가운데 잎줄
밑부분에 연한 갈색 털이 있으며
가장자리가 밋밋하다.

어린 나무의 경우는 겹톱니가 있다.
꽃은 5~6월에 피는데
꽃차례는 새 가지에 달리며
밑에 잎이 달리고 작은꽃자루는 마디가 있다.
꽃받침은 4개, 깊게 갈라지며
꽃잎은 백색이고 4개이며
밑부분이 합쳐지고 통부가 꽃받침보다 길다.

수술은 2개이며 화통에 붙어 있고
수꽃에 암술이 없으며
씨방은 2실로 암술대가 짧다.
열매는 타원형이고 9~10월에
벽흑색으로 익는다.
우리나라 전역에 나며, 일본,
중국, 타이완 등에 분포한다.
관상용, 가로수로 심으며,
목재는 기구재로 이용한다.
니암나무, 뻣나무라고도 한다

3.관리작업
-식재와이식-
이팝나무 식재와 이식의 적디는
3월경 잎이 나기전이 이식과 식재의
적기입니다.
-관리, 전정방법-
방임해 두어도 단정한 수형으로
잘자랍니다. 길게 자란 도장지만 수시로
잘라주어 관리만 하면됩니다.

-비료-
비료를 주는 주기는 일반적으로
봄과 가을에 한 번씩주면 되고
토양의 상태나 식물의 필요에 따라
주기를 조정할수도 있다
비료를 주는 시기는
봄의 식물 성장이 시작되는
때가 가장 적합합니다.
가을에 비료를 추가로 주는
것은 나무가 겨울 동안
필요한 영양소를 충전하는 데 도움이 됩니다.
낙엽기에 밑거름으로 유박이나 닭똥을
화학비료등과 섞어서 뿌려줍니다.

-병충해 증상, 예방법-
이팝나무의 병해로는 흰가루병
해충으로는 혹응애가 발생합니다.

'흰가루병은?'
증상: 흰가루병은 식물의 잎,
줄기 및 꽃에 흰색 또는 회색의 가루
모양의 포자를 형성합니다.
감염된 식물은 종종 잎이나 줄기가 변색되고
약화되며, 잎이 변형되거나 시들거나
쇠약해질 수 있습니다.
감염된 꽃은 제대로 개발되지
못하고 일찌감치 죽을 수 있습니다.
예방: 흰가루병을 예방하기 위해서는
식물의 건강을 유지하고
특히 환기가 잘 되는
환경을 제공하는 것이 중요합니다.
또한 감염된 식물을 즉시
격리하고 치료하는 것이 효과적입니다.

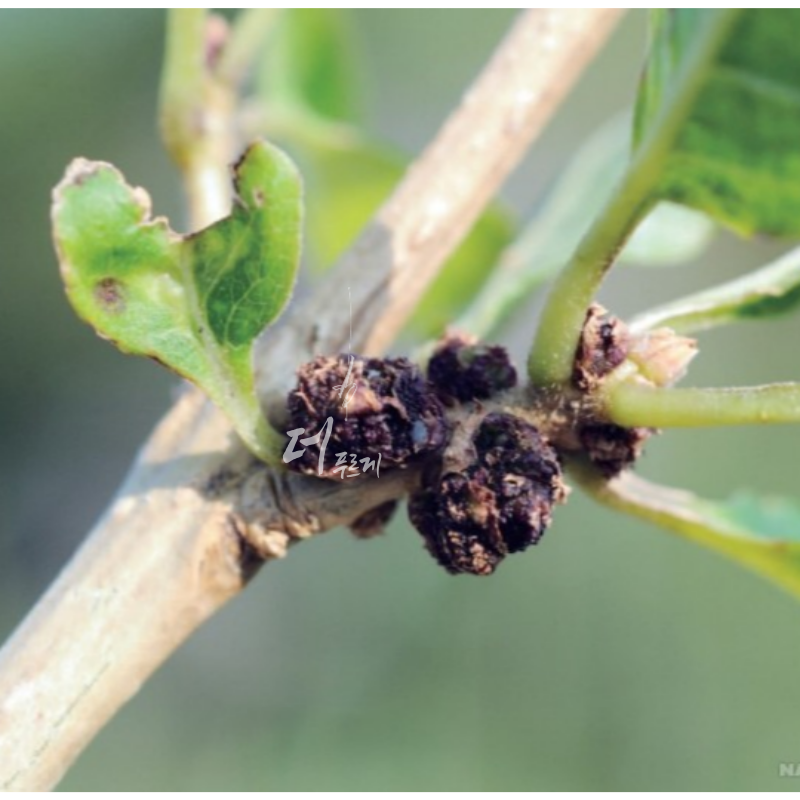
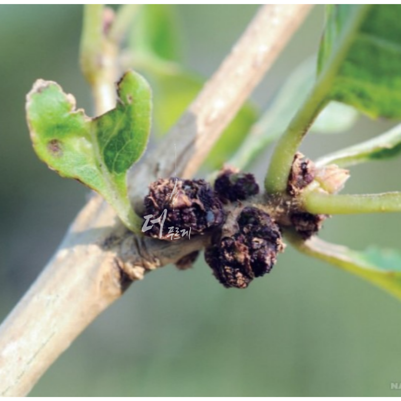
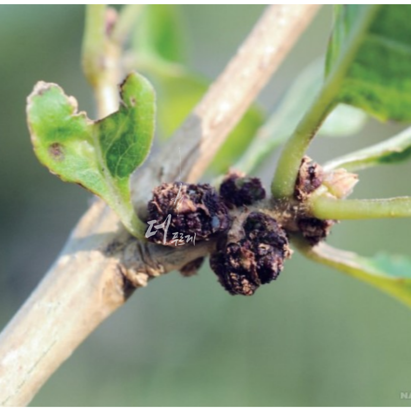
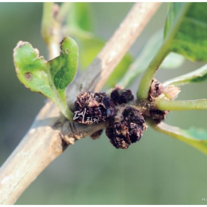
'혹응애'
증상: 이팝나무의 가지에 자그마한
벌레혹이 생기며, 벌레혹 표면은
거칠고 녹색, 붉은색, 갈색 순으로 변색된다.
잎이 달리는 작은 가지에 벌레혹이
발생될 경우 잎은 오그라들면서
기형이 되고, 작은 가지에 많은
벌레혹이 발생하면 가지가 말라 죽는다.
성충은 몸길이가 약 0.3mm이고
구더기형이며 담황색을 띤다.

예방및 치료:4월부터 피리다펜티온
유제 1,000배액을 2주 간격으로
2회 이상 살포한다.
이렇게 이팝나무에 대해서 알아보았는데요
부산동구에도 가로수로 이팝나무가 많이
식재가 되어있는것을
볼수가 있습니다.
이제는 은행나무보다는 이팝나무를
식재해서 보단 멋진 볼거리를 만들어 주는것도
괜찮다고 생각을 하네요!!

이팝나무(Chionanthus retusus)의 꽃말은
"행복한 추억" 과 "영원한 사랑"입니다.
행복한 추억
이팝나무는 봄이 되면 눈부시게
하얀 꽃이 만개하며, 그 모습이 매우
아름답고 인상적입니다.
이러한 꽃이 피어나는 계절은
사람들이 함께 모여 즐거운 시간을
보내는 시기이기도 해서,
이팝나무의 꽃말은
"행복한 추억"을 상징하게 되었습니다.
꽃이 피어나는 시기에 만들어지는
기억들이 오래도록 행복하게
남기를 바라는 의미를 담고 있습니다.
영원한 사랑
이팝나무의 또 다른 꽃말은
"영원한 사랑"입니다.
이팝나무는 강한 생명력과
아름다운 꽃을 오래도록 유지하는
특성 때문에 변치 않는 사랑을 상징합니다.
이러한 이유로 이팝나무는 영원히
지속되는 사랑을 상징하는 나무로 여겨집니다.
이팝나무의 꽃말은 그 아름다운
외형과 강인한 생명력을 잘 반영하며,
사랑과 행복을 전하는 메시지를 담고 있습니다.

'더푸르게 조경이야기' 카테고리의 다른 글
| 은목서 관리방법 그리고 꽃말 이야기 (2) | 2024.09.12 |
|---|---|
| 금목서 관리방법 부산조경식재팀 더푸르게 (3) | 2024.09.04 |
| 느티나무 관리 방법과 꽃말 이야기 (3) | 2024.09.03 |
| 홍가시나무 잘키우는방법과 병충해 '근두암종' 해결방법알기 (4) | 2024.09.02 |
| 주목나무 Taxus cuspidata 관리방법과 특징과 성질 (2) | 2024.08.29 |